Preferiti

Sponsorizza

Stampa

Villa in vendita a Foglizzo

  • 35.000€
  • 5 locali
  • 1000 mq
  • Vendesi

FOGLIZZO (TO) TERRENO EDIFICABILE IN ZONA RESIDENZIALE: In splendida posizione residenziale a Foglizzo, proponiamo terreno edificabile ideale per la realizzazione di villa singola indipendente.
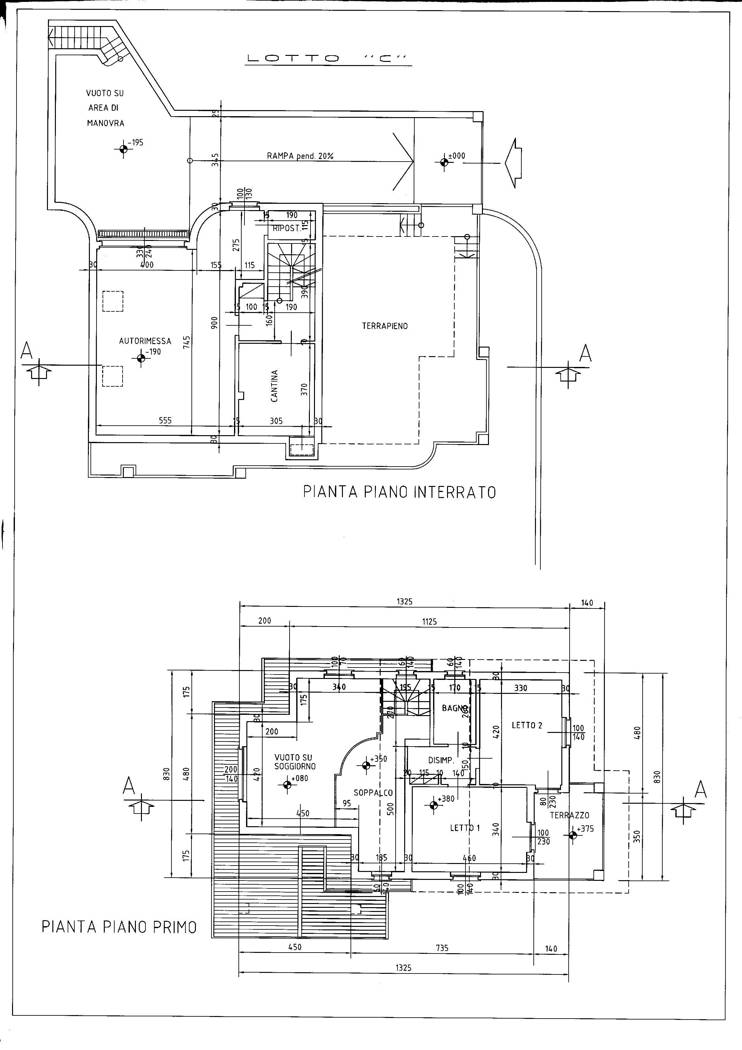
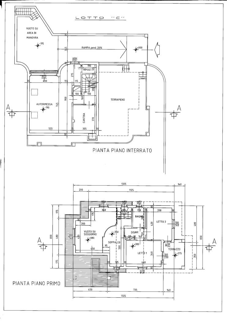
Il lotto consente la costruzione di unabitazione di circa 120 mq complessivi, sviluppabile su un unico piano oppure su due livelli, con possibilit di piano seminterrato a seconda delle esigenze progettuali.
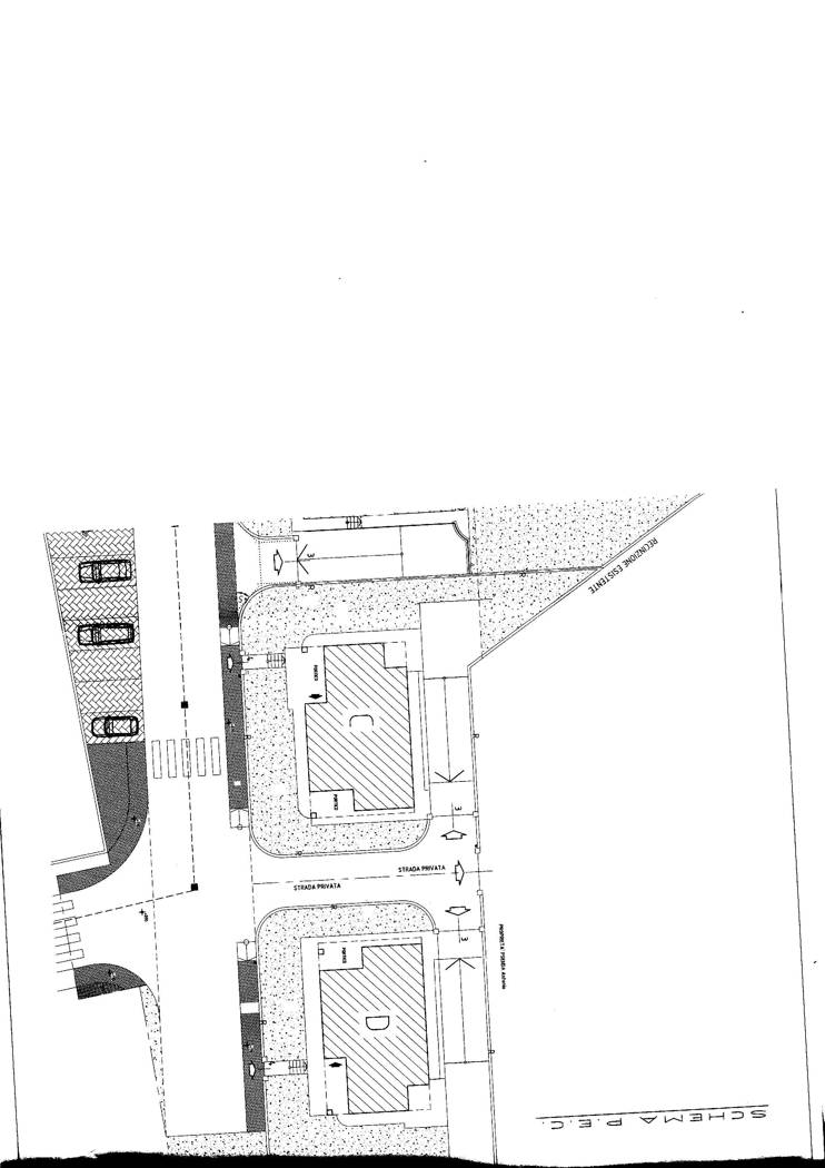
La zona caratterizzata da ville di recente costruzione, contesto tranquillo e curato, con ampi spazi verdi e giardini privati: la soluzione perfetta per chi desidera indipendenza, privacy e qualit della vita. Posizione strategica: comoda al centro paese vicina a negozi e servizi di prima necessit prossima a scuole e aree verdi rapido collegamento ai caselli autostradali della direttrice TorinoAosta Ideale per chi desidera realizzare una casa su misura, in un contesto moderno e ben abitato, senza rinunciare alla comodit dei servizi. Contatta l'inserzionista

Martingano MassimoMartingano Massimo
Via Colonnello Bettoia 25
, Caluso (Torino)
Visualizza Telefono

INFORMAZIONI SULL'IMMOBILE

  • Riferimento: Cod. rif 3294891VRG
  • Tipologia: Villa singola in Vendita
  • Locali: 5 Locali
  • Piano: Rialzato
  • Bagni: 2
  • Prezzo: 35.000 €
  • Prezzo al mq: 35 €
  • Spazio Auto: No
  • Modificato il: 14/02/2026
  • Scheda: SC9601738

Stabile

  • Piano: Rialzato
  • Classe Energetica: n.d.

Mappa e indirizzo

10090 Foglizzo (Torino)
mappa mostra l'annuncio su mappa

Galleria Fotografica

Contatta l'inserzionista

Martingano Massimo

Martingano Massimo di Caluso propone in vendita questo immobile, contattali subito!

Annunci immobiliari a Foglizzo (TO)

Copyright Š 2026 PCase.it. All rights reserved. Sede operativa MILANO. P.IVA 08508420968 - Condizioni d'uso e privacy