Preferiti

Sponsorizza

Stampa

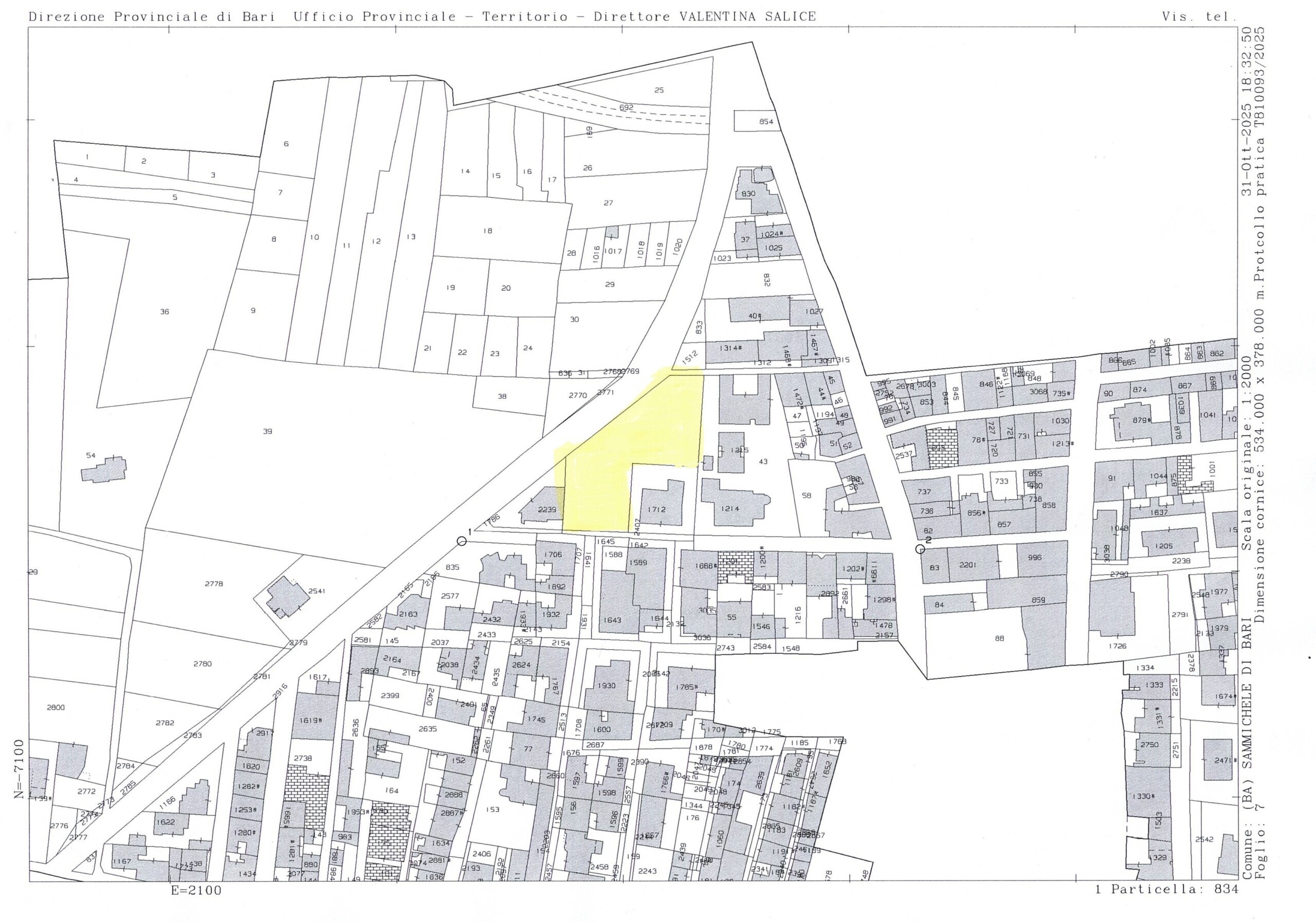
Terreno Agricolo in vendita a Sammichele di Bari in via vito donato bianco

  • 340.000€
  • 2400 mq
  • Vendesi

Sammichele di Bari, su strada principale a pochi passi dal centro, proponiamo terreno edificabile in zona B1 di circa mq 2400. Il tutto sviluppa una cunatura di circa 12000 metri cubi. FD Immobiliare Casamassima Contatta l'inserzionista

FD IMMOBILIAREFD IMMOBILIARE
via Bari 70/D
70010, Casamassima (Bari)
Visualizza Telefono

INFORMAZIONI SULL'IMMOBILE

  • Riferimento: 4925
  • Tipologia: Terreno in Vendita
  • Locali: Agricolo di 2400 m²
  • Piano: Terra
  • Prezzo: 340.000 €
  • Prezzo al mq: 142 €
  • Modificato il: 04/11/2025
  • Scheda: SC9492446

Stabile

  • Piano: Terra
  • Classe Energetica: n.d.

Mappa e indirizzo

Terreno sito in via vito donato bianco
70010 Sammichele di Bari (Bari)
mappa mostra l'annuncio su mappa

Galleria Fotografica

Contatta l'inserzionista

FD IMMOBILIARE

FD IMMOBILIARE di Casamassima propone in vendita questo immobile, contattali subito!

Annunci immobiliari a Sammichele di Bari (BA)

Copyright Š 2026 PCase.it. All rights reserved. Sede operativa MILANO. P.IVA 08508420968 - Condizioni d'uso e privacy