Preferiti

Sponsorizza

Stampa

Terreno Industriale in vendita a Ciserano

  • trattativa riservata
  • 23000 mq
  • Vendesi

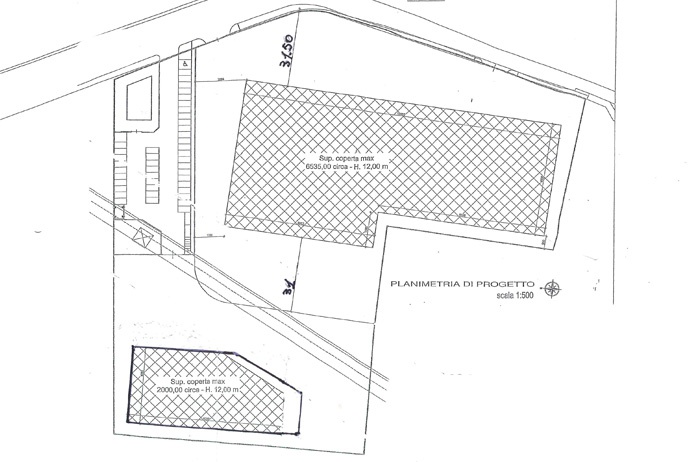
-- CISERANO Area edificabile a destinazione industriale, commerciale e socio assistenziale di mq 23.000 situata in posizione di grande comodit logistica, a pochi passi dal futuro casello di Verdello della bretella Autostradale.
L'area ha potenzialit edificatoria per mq 9.300 con altezza massima di metri 12, dotata di 2 ingressi e 2 uscite ed concessa la costruzione di edificio industriale / commerciale o anche di struttura Rsa. E' possibile la vendita dell'area edificabile per ? 100 / mq da lottizzare oppure per ? 126 / mq gi lottizzata.
Scomputo oneri per ? 500.000,00, opere gi eseguite ? 330.000,00. E' inoltre possibile la vendita della struttura finita per ? 800 / mq. E' inoltre possibile l'acquisto dell'area frazionata in 2 lotti: Lotto 1 _ Mq 14.000 con superficie costruibile pari a mq 7.300 ed altezza interna di 12 metri.
Lotto 2 _ Mq 6.200 con superficie costruibile pari a mq 4.200 ed altezza interna di 12 metri.
CLASSE ENERGETICA: Immobile non soggetto all'obbligo di certificazione energetica Vai all'annuncio: ***.*******.** STUDIO IMMOBILIARE VALLE Flaminia S.r.l. Real estate and investments 24121 Bergamo - Italy ***.*******.** Vitt. Emanuele II n. 65 tel +39 035 231588 fax +39 035 232714 ***.*******.** *******@******* Facebook: StudioImmobiliareValle Twitter: ValleRealEstate Skype: Valle-Real-Estate Contatta l'inserzionista

Studio Immobiliare ValleStudio Immobiliare Valle
Viale Vittorio Emanuele II, 65
24121, Bergamo (Bergamo)
Visualizza Telefono

INFORMAZIONI SULL'IMMOBILE

  • Riferimento: CISERANO23000B
  • Tipologia: Terreno in Vendita
  • Locali: Industriale di 23000 m²
  • Modificato il: 23/02/2024
  • Scheda: SC9565155

Stabile

  • Classe Energetica: n.d.

Mappa e indirizzo

24040 Ciserano (Bergamo)
mappa mostra l'annuncio su mappa

Galleria Fotografica

Contatta l'inserzionista

Studio Immobiliare Valle

Studio Immobiliare Valle di Bergamo propone in vendita questo immobile, contattali subito!

Annunci immobiliari a Ciserano (BG)

Copyright © 2026 PCase.it. All rights reserved. Sede operativa MILANO. P.IVA 08508420968 - Condizioni d'uso e privacy