Preferiti

Sponsorizza

Stampa

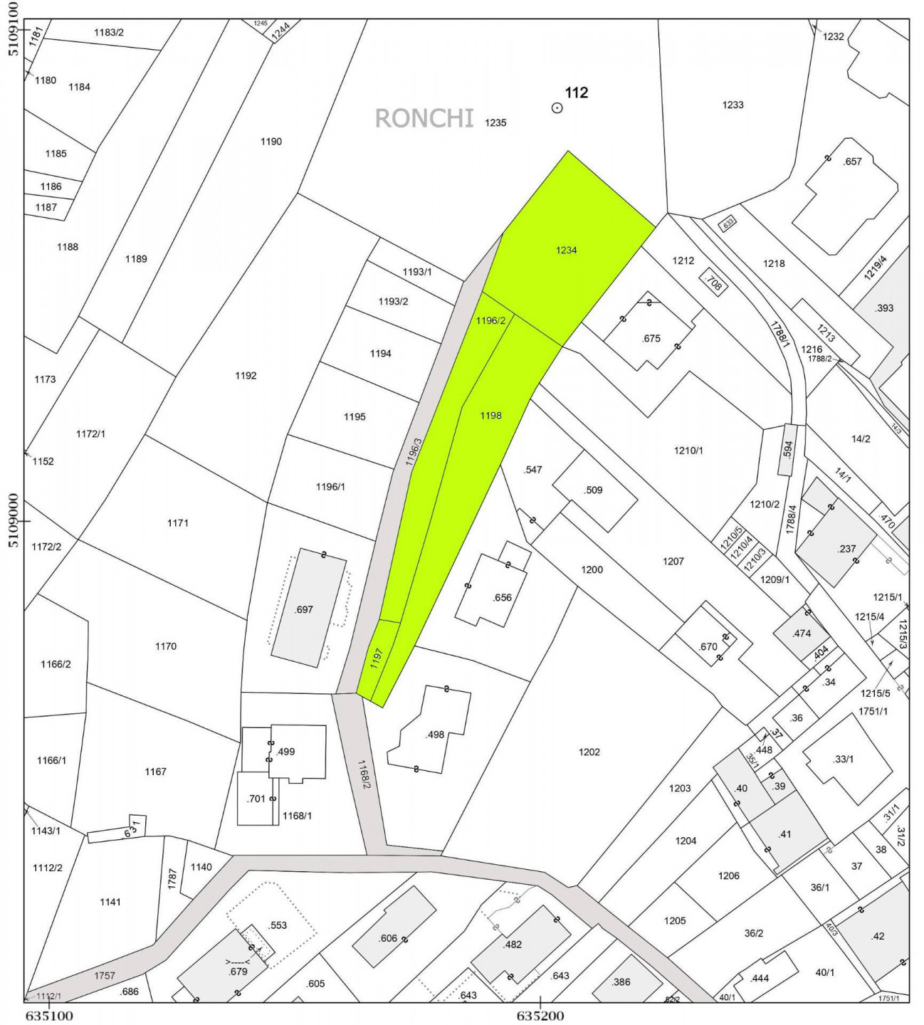
Terreno Edificabile in vendita a Strembo in acquedotto

  • 500.000€
  • 1870 mq
  • Vendesi

In ottima posizione soleggiata e panoramica terreno edificabile a Strembo a soli 5,5 Km dagli impianti delle Funivie di Pinzolo.
Lotto di mq 1870 mq tutti edificabili per una SUN (superficie utile netta) di 841,5 mq di cui 150 mq per residenza per il tempo libero e vacanze come da art. 10 bis (DISCIPLINA DEGLI ALLOGGI DESTINATI A RESIDENZA) e art. 41 (AREE RESIDENZIALI B2. DI COMPLETAMENTO ) delle Norme di attuazione del PRG. Le norme principali del lotto sono: a) indice di utilizzazione fondiaria (Uf): 0,45 mq/mq b) numero di piani: 3 c) altezza del fronte: 9,00 ml d) rapporto di copertura (Rc): 30% e) SUN minima del fabbricato: 150 mq f) SUN massima del fabbricato: 390 mq g) tipologia: mono o bifamiliare e a schiera h) lunghezza max dei fronti per edifici a schiera: 30 ml i) direzione del colmo: secondo lorientamento prevalente di zona. Al lotto si accede da strada comunale. Contatta l'inserzionista

Agenzia Immobiliare Bonomi srlAgenzia Immobiliare Bonomi srl
Via Toti, 8
38086, Guidonia Montecelio (Roma)
Visualizza Telefono

INFORMAZIONI SULL'IMMOBILE

  • Riferimento: 975T-IB47
  • Tipologia: Terreno in Vendita
  • Locali: Edificabile di 1870 m²
  • Prezzo: 500.000 €
  • Prezzo al mq: 267 €
  • Modificato il: 14/04/2025
  • Scheda: SC9556641

Stabile

  • Classe Energetica: n.d.

Mappa e indirizzo

Terreno sito in acquedotto
38080 Strembo (Trento)
mappa mostra l'annuncio su mappa

Galleria Fotografica

Contatta l'inserzionista

Agenzia Immobiliare Bonomi srl

Agenzia Immobiliare Bonomi srl di Guidonia Montecelio propone in vendita questo immobile, contattali subito!

Annunci immobiliari a Strembo (TN)

Copyright Š 2026 PCase.it. All rights reserved. Sede operativa MILANO. P.IVA 08508420968 - Condizioni d'uso e privacy