Preferiti

Sponsorizza

Stampa

Terreno Agricolo in vendita a Cupra Marittima in spiaggia 452+453

  • 207.000€
  • 207 mq
  • Vendesi

Appezzamento di terreno agricolo su spiaggia, localizzato direttamente sul mare, della superficie di 207 m e di forma rettangolare.
L'appezzamento di terreno corredato di recinto con rete metallica, #d'ingresso e si trova in una posizione letteralmente unica e cio sulla spiaggia, in uno dei tratti del litorale pi ricercati e tranquilli.
Sull'appezzamento di terreno in oggetto possibile realizzare una cabina delle dimensioni di 1,80 x 1,80 metri oltre due gazebo ciascuno di 16 mq: totale superficie coperta sul lotto: 35,24 metri.
Non si tratta di un terreno demaniale ma di un terreno di propriet Essendo un terreno prospiciente la spiaggia, il suo fondo ovviamente in sabbia fina Possibilit di installazione di energia elettrica Contatta l'inserzionista

Spina & MarcheiSpina & Marchei
Viale De Gasperi 113
63074, San Benedetto del Tronto (Ascoli Piceno)
Visualizza Telefono

INFORMAZIONI SULL'IMMOBILE

  • Riferimento: 33963
  • Tipologia: Terreno in Vendita
  • Locali: Agricolo di 207 m²
  • Prezzo: 207.000 €
  • Prezzo al mq: 1.000 €
  • Modificato il: 22/04/2026
  • Scheda: SC9595489

Stabile

  • Classe Energetica: n.d.

Mappa e indirizzo

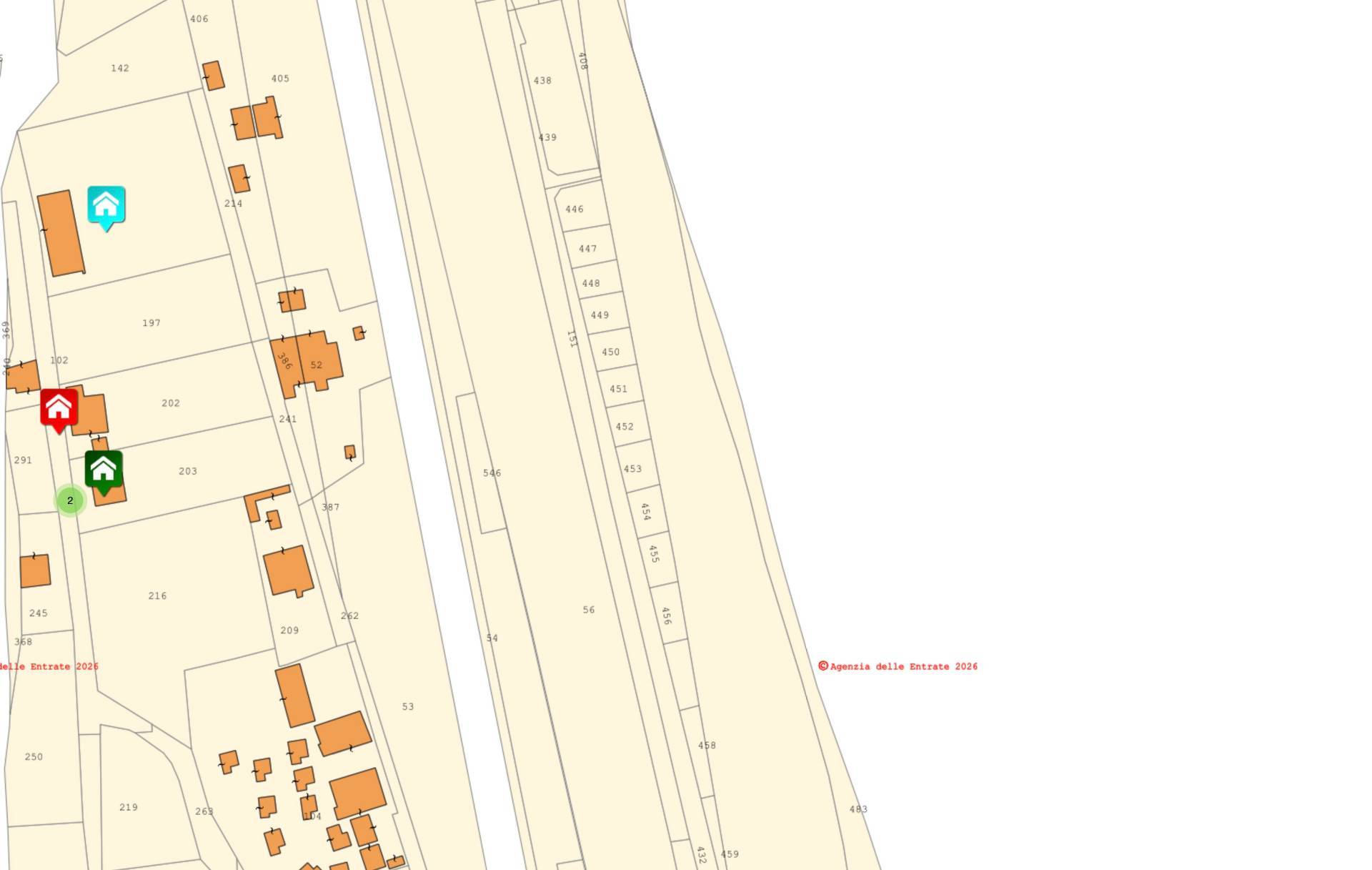
Terreno sito in spiaggia, 452+453
63012 Cupra Marittima (Ascoli Piceno)
mappa mostra l'annuncio su mappa

Galleria Fotografica

Contatta l'inserzionista

Spina & Marchei

Spina & Marchei di San Benedetto del Tronto propone in vendita questo immobile, contattali subito!

Annunci simili

Annunci immobiliari a Cupra Marittima (AP)

Copyright Š 2026 PCase.it. All rights reserved. Sede operativa MILANO. P.IVA 08508420968 - Condizioni d'uso e privacy