Preferiti

Sponsorizza

Stampa

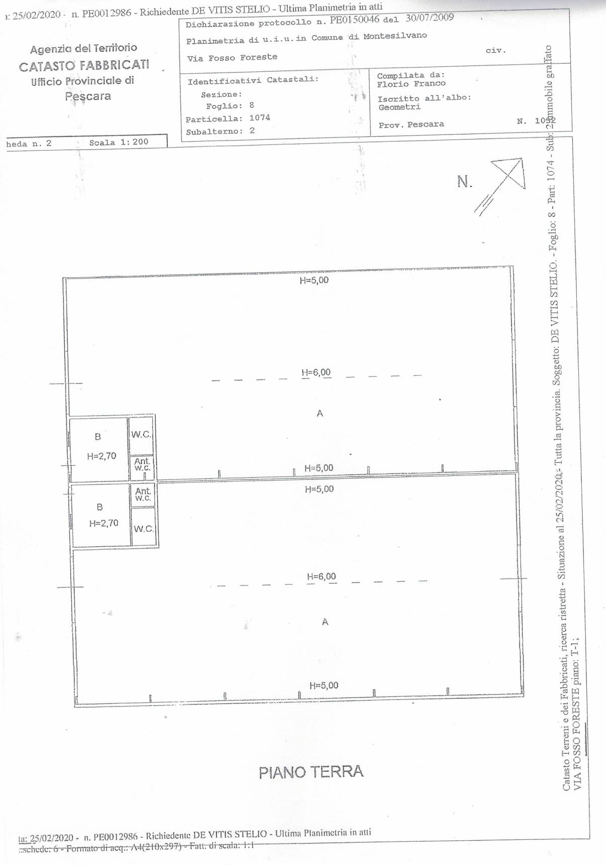
Capannone in affitto a Montesilvano in via fosso foreste

  • 2.800€
  • 450 mq
  • Affittasi

Affittasi a Montesilvano in via Fosso Foreste zona industriale ad alto traffico capannone artigianale di mq 450 con all'interno un piccolo ufficio e bagno di nuova realizzazione con area di scarico e carico non esclusiva.
Affitto solo ed esclusivamente per uso deposito. Contatta l'inserzionista

DI.GI. ImmobiliareDI.GI. Immobiliare
Via San Domenico 1/2 - 1/3
65015, Sesto San Giovanni (Milano)
Visualizza Telefono

INFORMAZIONI SULL'IMMOBILE

  • Riferimento: 19-1
  • Tipologia: Capannone in Affitto
  • Stato: Buono
  • Prezzo: 2.800 €
  • Prezzo al mq: 6 €
  • Modificato il: 16/05/2024
  • Scheda: SC9549254

Stabile

  • Classe Energetica: n.d.

Mappa e indirizzo

Capannone sito in via fosso foreste
65015 Montesilvano (Pescara)
mappa mostra l'annuncio su mappa

Galleria Fotografica

Contatta l'inserzionista

DI.GI. Immobiliare

DI.GI. Immobiliare di Sesto San Giovanni propone in affitto questo immobile, contattali subito!

Annunci immobiliari a Montesilvano (PE)

Copyright Š 2026 PCase.it. All rights reserved. Sede operativa MILANO. P.IVA 08508420968 - Condizioni d'uso e privacy