Preferiti

Sponsorizza

Stampa

Appartamento in vendita con giardino a Roma

  • 199.000€
  • 3 locali
  • 110 mq
  • Vendesi

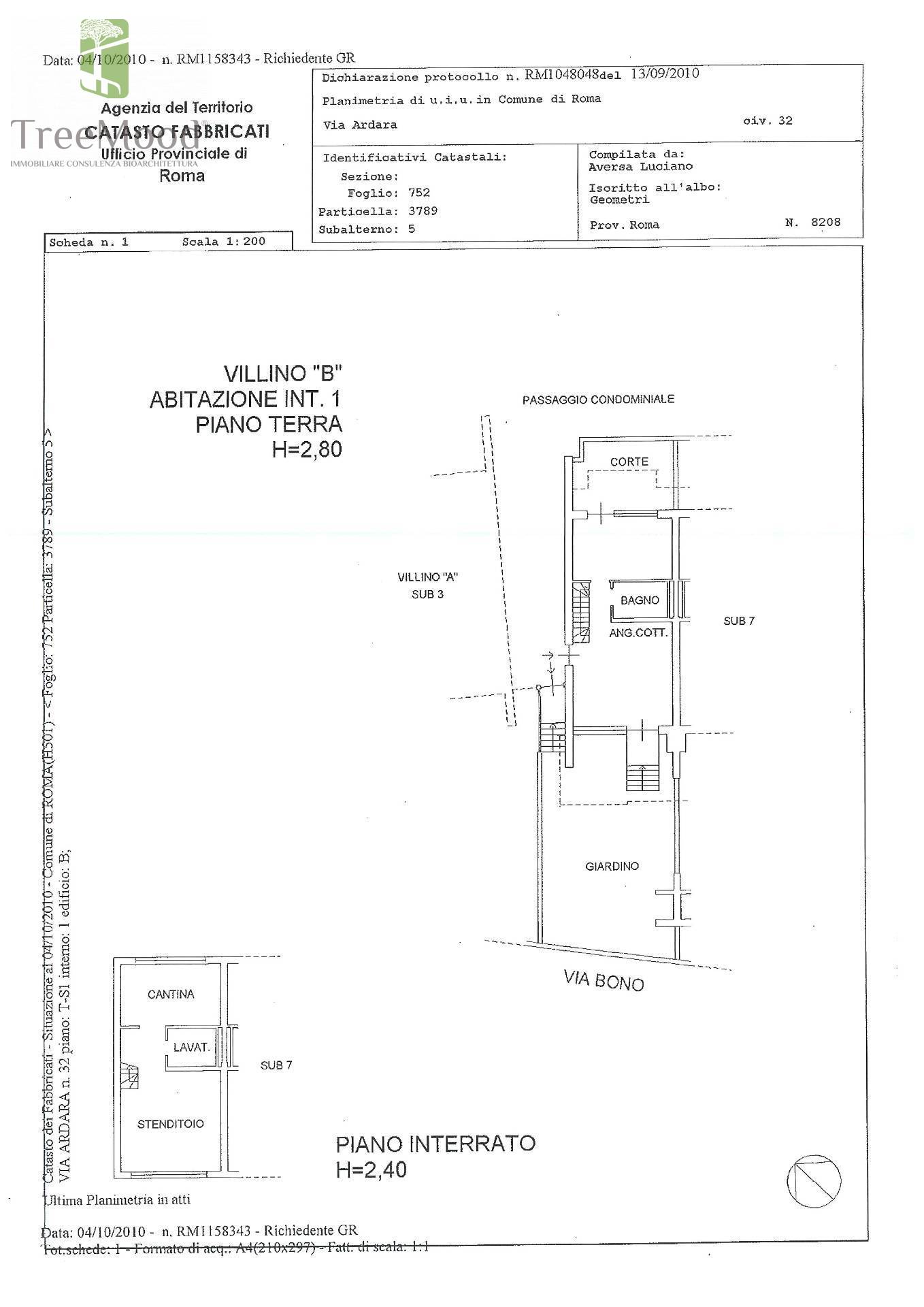
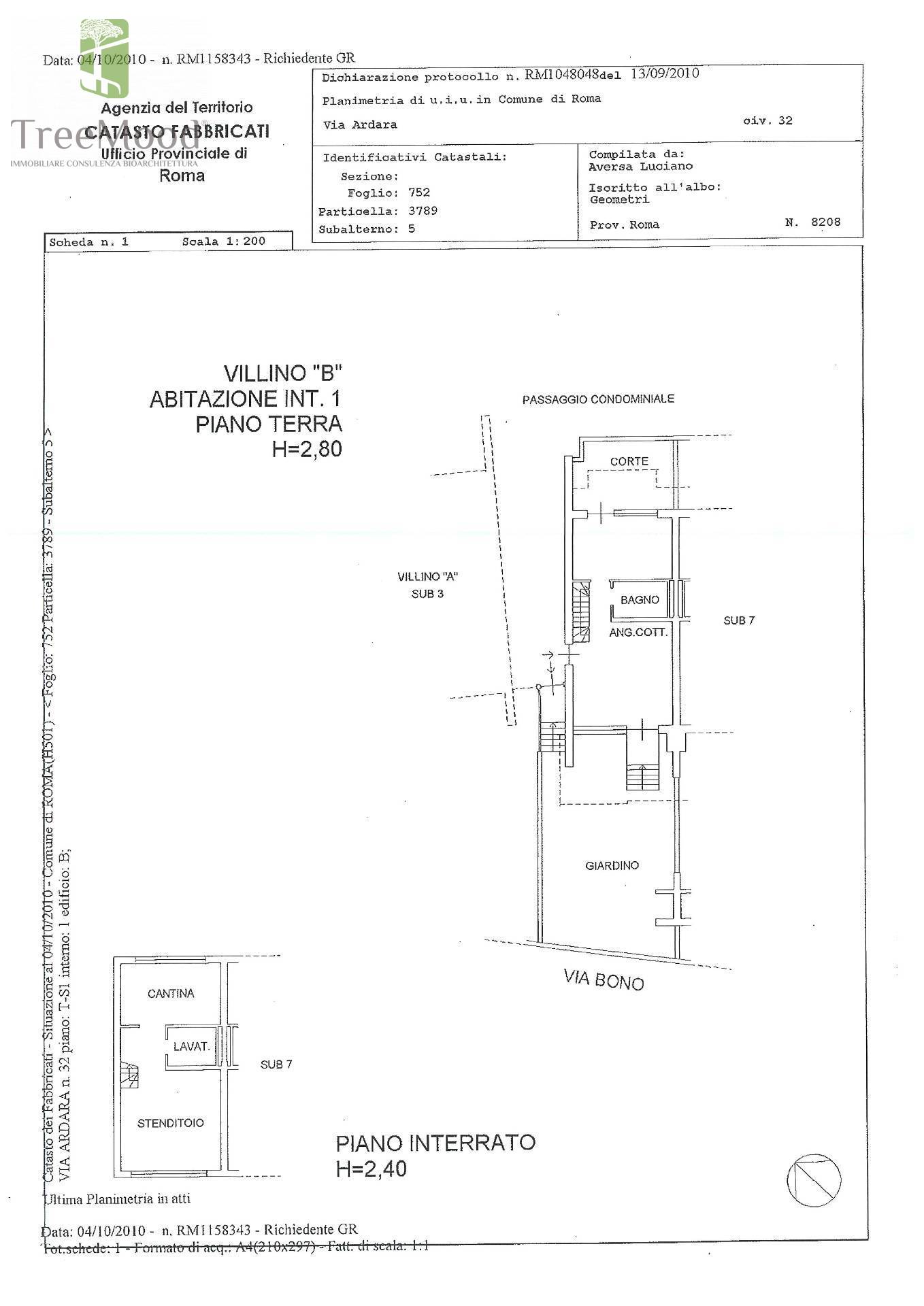
All'interno del complesso residenziale "Parco i Girasoli" che si sviluppa in localit Spallette, nel comune di Roma, in posizione strategica rispetto alle principali vie di collegamento con il centro della citt ed il mare di Fiumicino, proponiamo la vendita di una porzione di quadri familiare bilivelli in classe energetica A, di mq 110 interni con giardino di 80 c. ca spazio esterno di 13 c. ca e box di 18 mq. L'immobile, disposto su due livelli, composto da ingresso, soggiorno con angolo cottura ed ampia parete vetrata sul giardino di propriet, una camera matrimoniale e servizio al piano terra, al piano seminterrato con ampie finestre da una sala hobby da personalizzare divisa in camera cameretta e secondo servizio da allestire (tutti gli attacchi ci sono). Luminosissimo.
L'immobile si vende locato per ulteriori 3 anni canone di locazione ? 700,00 mensili.
Box singolo.
? 199.000, 00 L'accesso principale del complesso residenziale si trova sul lato di Via Ardara, mentre l'accesso pedonale direttamente dalla via Portuense e consente di raggiungere facilmente la fermata degli autobus.
Il complesso si trova a 900 mt dal treno metropolitana (FM1 stazione di Ponte Galeria) ed collegato con l'aeroporto di Fiumicino e con la Metro Piramide.
Per quanto concerne i collegamenti su ruote la distanza dal raccordo anulare di circa 5 KM, possibile raggiungere con facilit il centro commerciale Parco Leonardo e la nuova Fiera di Roma. Il Parco "I Girasoli" composto da 6 villini quadrifamiliari e da una villa bifamiliare e ciascuna unit abitativa ha un proprio accesso indipendente.
Gli appartamenti hanno tutti il box singolo/doppio con serranda basculante posizionati al piano interrato e collegati con ascensore al livello del giardino condominiale (esposizione SUD - SUD/OVEST). Le abitazioni sono state concepite in classe "A" ed hanno tutte rifiniture di lusso.
I pavimenti sono in parquet, la porta di accesso blindata; inoltre presente l'impianto di irrigazione, il barbecue con canna fumaria, la predisposizione per l'impianto di condizionamento e di allarme, pannelli solari termici per acqua calda, pannelli solari fotovoltaici per il 15% del fabbisogno energetico/elettrico condominiale del complesso.
Teleriscaldamento e recupero acque piovane.
Parcheggio ospiti. Contatta l'inserzionista

Treemood srlTreemood srl
via eufemiano
00100, Roma (Roma)
Visualizza Telefono

INFORMAZIONI SULL'IMMOBILE

  • Riferimento: 82
  • Tipologia: Appartamento in Vendita
  • Locali: 3 Locali (2 camere con doppi servizi)
  • Stato: Ottimo
  • Prezzo: 199.000 €
  • Prezzo al mq: 1.809 €
  • Riscaldamento: Autonomo
  • Giardino: Privato - 80 Mq
  • Modificato il: 12/03/2024
  • Scheda: SC9574422

Stabile

A1

Galleria Fotografica

Contatta l'inserzionista

Treemood srl

Treemood srl di Roma propone in vendita questo immobile, contattali subito!

Annunci simili

Annunci immobiliari a Roma (RM)

Copyright Š 2026 PCase.it. All rights reserved. Sede operativa MILANO. P.IVA 08508420968 - Condizioni d'uso e privacy